Porządek obrad
1.
Rozpoczęcie posiedzenia
a)
Informacja o realizowanych i planowanych inwestycjach w zakresie dróg, chodników i ścieżek rowerowych
b)
Sprawozdanie z przebiegu zimowego utrzymania dróg gminnych
c)
Informacja o stanie bezpieczeństwa na terenie Gminy Miękinia
3.
Opiniowanie projektów uchwał
a)
Projekt nr 1 - Uchwała nr XII/128/25 w sprawie sprzedaży nieruchomości stanowiących własność Gminy Miękinia
b)
Projekt nr 2- Uchwała nr XII/129/25 w sprawie sprzedaży nieruchomości stanowiących własność Gminy Miękinia
c)
Projekt nr 3- Uchwała nr XII/130/25 zmieniająca uchwałę nr XI/121/25 Rady Miejskiej w Miękini z dnia 28 marca 2025r. w sprawie szczegółowych zasad ponoszenia odpłatności za pobyt w mieszkaniu wspomaganym lub treningowym
d)
Projekt nr 4- Uchwała nr XII/131/25 w sprawie zmiany budżetu gminy w zakresie dochodów i wydatków
e)
Projekt nr 5- Uchwała nr XII/132/25 w sprawie zmian Wieloletniej Prognozy Finansowej Gminy Miękinia na lata 2025-2038
f)
Projekt nr 6 Uchwała nr XII/133/25 Rady Miejskiej w Miękini z dnia 29 kwietnia 2025 r. w sprawie zaciągnięcia pożyczki długoterminowej wspierającej zieloną transformację miast w Banku Gospodarstwa Krajowego
g)
Projekt nr 7 Uchwała Nr XII/134/25 w sprawie sprzedaży nieruchomości stanowiących własność Gminy Miękinia
h)
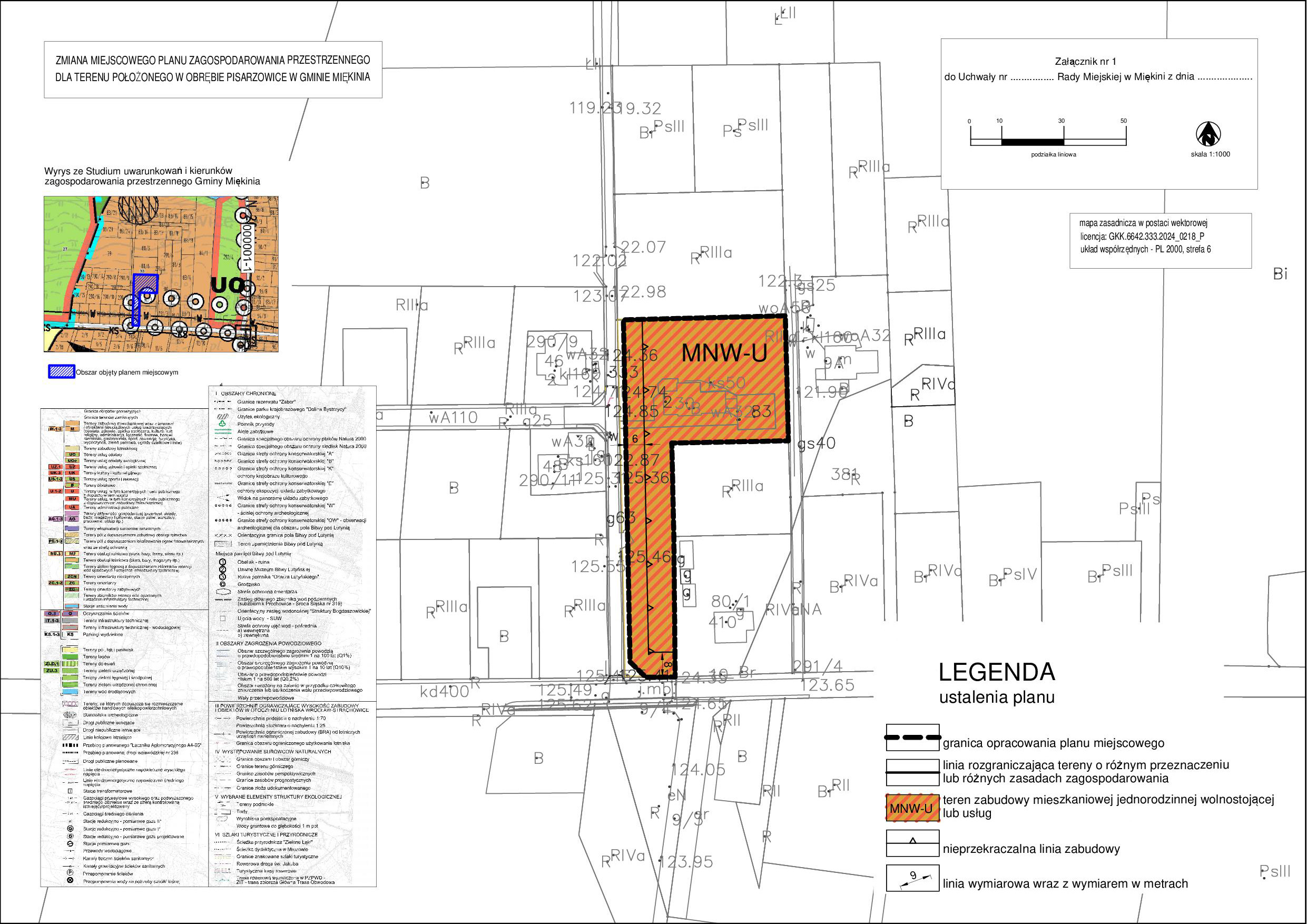
Projekt nr 8 Uchwała nr XII/135/25 w sprawie zmiany miejscowego planu zagospodarowania przestrzennego dla terenu położonego w obrębie Pisarzowice w gminie Miękinia
i)
Projekt nr 9 Uchwała nr XII/136/25w sprawie uchwalenia zmiany miejscowego planu zagospodarowania przestrzennego „Park Przemysłowy Błonie – Źródła” w gminie Miękinia.
j)
Projekt nr 10 Uchwała nr XII/137/25 w sprawie uchwalenia zmiany miejscowego planu zagospodarowania przestrzennego dla obrębu geodezyjnego Lutynia w gminie Miękinia część „K”
k)
Projekt nr 11 Uchwała nr XII/138/25 w sprawie uchwalenia miejscowego planu zagospodarowania przestrzennego zachodniej części obrębu Lutynia w gminie Miękinia
l)
Projekt nr 12 Uchwała nr XII/139/25 w sprawie uchwalenia miejscowego planu zagospodarowania przestrzennego dla obrębu geodezyjnego Miękinia część A w gminie Miękinia